
From nudity to shark attacks, here are the stories that garnered the most interest of the year.
Every year around this time, the internet is filled with lists. Best of This, Best of That, Best of the Rest. You get the idea. So it’s interesting for us to look back at an entire 12 months and see what made people sit up and take notice. And it might interest you as well? Here at The Inertia, we’re in love with stories. We love watching the world unfold while passing the news along to you (not to mention analyzing that news to give it greater context). Below you’ll find our ten most-read pieces of 2018.
——————————
1. Felicity Palmateer Is Releasing a Nude Surf Film Called ‘Skin Deep’

On November 26, Felicity Palmateer dropped a teaser for a film in which she surfs naked. It was an art project that she worked on for three years, but as we said at the time, “…anything that involves a naked body isn’t going to be simply an appreciation of the body for everyone, especially when it’s on the internet. Oh, sure, the artist or photographer can have the most artistic and innocent aspirations for their work, but when there are soft boobs and round butts and hard pecs and horny people basking in the blue glow of their computer screens late at night, those aspirations are thrown out the window for something a little more… carnal.”
Felicity was completely aware of what she was doing. “I think with social media,” she told The Sunday Telegraph, “…you make your coffee wrong and someone has something to say about it. This is art and it’s supposed to be thought-provoking. I’m happy if it provokes discussion. I hope people see it the way I do. It’s successful if it captures people’s imaginations or provokes talk.”
In the span of just a few days, Flick’s trailer turned into our most popular story of the year.
2. 6 Big Wave Deaths That Shook Surfing Forever

Our second most read story of the year was first published back on September 15, 2014. There’s a reason why it did so well four years later: the HBO film Momentum Generation hit a wider audience, and Todd Chesser was a big part of it. The world took a new interest in who he was, and that interest drove them to our site. Chesser was on the list along with Mark Foo, Donnie Solomon, Malik Joyeux, Peter Davi, and Sion Milosky.
“Once described by Surfer as ‘the greatest non-rated surfer in the world,’ Todd Chesser tore through the scene in the nineties,” wrote Michael Woodsmall. “Born in Florida but raised in Hawaii, Chesser followed in his accomplished mother Jeannie’s footsteps and became one of the island’s top-rated amateur surfers (like his mom was in the seventies). Despite finishing fourth in the 1990 Professional Surfing Association of America tour, Chesser decided his time was better spent chasing swells as a big wave surfer. A frequent contributor to Surfer, Chesser proclaimed in a piece about the dangers of big-wave riding: ‘If you know the basics, the danger is minimal.'”
3. A Fisherman Is Suing After This Insane Boat Crash

On August 12, a 75-year-old man named Marlin Lee Larsen smashed full speed into another boat on the mouth of the Columbia River. A few months later, the owner of the fishing boat sued, and the video of the incident found its way onto the internet. Bryan Maess claimed that Larsen was distracted by his cell phone at the time of the accident.
Maess’ GoPro caught the terrifying crash, which could have ended much worse. The fishing boat was 21-feet, while the motorboat that hit it was 31-feet. After a passenger waved and shouted, the larger boat crashed into to the smaller one mere seconds after the three people on board leaped out.
4. ‘Andy Irons: Kissed By God’ Reveals the Depths of Andy’s Drug Addiction and Unhappiness

When Andy Irons: Kissed by God was released, its impact on the surfing community was enormous. The mark Irons left on our little community is indelible, and the film proved just how much Irons is still loved. After Zach Weisberg, The Inertia‘s founder, watched the premiere, he sat down at his keyboard and dissected his thoughts surrounding the film and the questions it forced him to deal with.
“When are we ever really prepared to deal with death?” he asked. “What emerges in Andy Irons: Kissed By God is the painful story of a family – a brother, a wife, a mother, a father, and a close-knit group of friends – watching a man they love die in plain sight. A man two weeks shy of becoming a father. It’s gut-wrenching. And nearly eight years removed, it certainly reopens healing wounds. As Bruce says, the instinct to cast blame is a fool’s errand. No one can help a man who refuses it. But that doesn’t mean we can shirk our responsibility to reach out to those who are suffering or fail to challenge systems of enablement.
It’s impossible to draw a nice, neat conclusion from Andy’s story, which is fitting, because his life was neither of those things. Life can be unfair and painful. We can appear to have everything, but be miserable. We can throw our lives away. Our lives can be taken from us. That said, when tragedy blindsides us, we can do ourselves the great, deeply human service of attempting to better understand that pain. That’s a challenging thing to do, and it’s what Andy Irons: Kissed By God does. It’s staring down the barrel of a gun. It’s a hard look at pain and loss from those who lost the most.
Hopefully, in sharing his story, others on a similarly precarious path might gain the strength to alter course.”
5. Sperm Whale Stuffed with 64 Pounds of Plastic Washes Up Dead In Spain

Late in February of 2018, a juvenile sperm whale washed up dead on a beach in southern Spain. It looked strangely thin, and, as is the norm in cases like this, researchers conducted an autopsy to find out what killed it. What they found was shocking: the whale’s stomach contained a staggering 64 pounds of plastic. The photo you see above is not the whale in question—it’s a representation created by Greenpeace Philippines.
6. Deer Gets Hit by Car, Nearly Takes Out Road Cyclist in Scary Reality Moment

Every now and then, some strange little clip gets absolutely devoured by the general public. This clip was one of those. “Road cycling is more dangerous than you’d think, mostly because drivers aren’t always aware of cyclists,” we wrote. “Then there are hazards you’d never think of, like flying deer. This buck gets smacked by a car and very nearly takes out a road cyclist. Check out her reaction as she realizes what just happened and how close she was to getting impaled by antlers.”
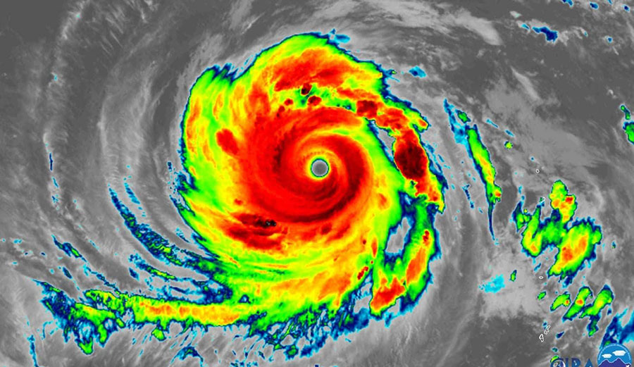
7. Super Typhoon Jebi Is Now the Planet’s Most Powerful Storm

In late August, a storm gathered steam in the western Pacific. Over the course of the next week, Jebi gathered steam, turning from a regular old tropical storm to a typhoon to what it eventually became: a Category 5 cyclone with sustained winds up to 175 mph, and for a short while, the most powerful storm on earth.
8. Surf Camp Owner Drops In on British Surfer, Then ‘Bullies Her Out of the Water’

In April, Allanah Brown, a surfer from Newquay, Cornwall, took her ninth annual trip to Bali. It would prove to be a little different than the other years. This time, she was apparently “bullied out of the water” by local surf shop owner and Volcom team rider Muklis Anwar. Brown took to social media to air her grievances, which quickly caught fire. Anwar was skewered on social media for his behavior after he wrote a response to a comment on Volcom’s Facebook page. “I don’t give a fuck!!!” he wrote. “To many people at my home! Out of Medewi u cunt! “[sic]
That, of course, did not help matters. Soon after, Anwar released an apology taking full responsibility for his actions. “I have a bad day today!” he said. “Sorry I know I have dropped on a girl today and she have a photos showing that I am on a bad side,” he wrote. “I would love to say sorry about it. It wasn’t like this. I was try to make a joke at the beginning of the waves and she were screaming at me so hard and so u know I were angry but to be honest I were not a guy that normally did this! It’s surfing everyone can have a bad day of surfing and specially I just try to surf my own break with so much people on it! I try to go and meet her to talk about it but unfortunately she’s left! Sorry once again! It’s my fouls! Everyone make mistakes And This Was mine! Sorry to allanah brown.”[sic]
9. Giant Great White Shark Scares Kayak Fisherman Senseless With a Friendly Fly-By

If there’s one thing the internet likes, it’s a shark. Whether it’s being punched by Mick Fanning, attacking a spearfisherman, or, like the one in our eighth most-popular story of the year, merely having a quick look at a passing kayaker, stories about sharks will always grab attention.
10. Listen to This Navy SEAL Give Some Interesting Advice on How to Combat a Shark Attack
After former Navy SEAL Clint Emerson wrote a book about survival, he sat down with Business Insider to discuss how to survive a shark attack. “To be realistic, throwing a punch in the water is like slow motion, anyone that can pull it off, give me a call,” said Emerson. Somebody needs to give Mick Fanning this guy’s phone number. Emerson’s advice, though, touched a nerve in the surfing public, and it became our tenth most-trafficked story of the year.
